土地

相模原市中央区田名の土地[物件特徴]

  NEW

掲載情報更新日:2026年04月24日 次回更新予定日:2026年05月08日

1,570万円

月々のお支払い例


万円


計算

※ 月々のお支払例は目安の試算となりますので、金融機関や商品によって借入金額の条件は異なります。詳しくは店舗までお問合わせください。

所在地

相模原市中央区田名

交通

JR相模線『上溝』 バス乗車11分 四ツ谷 停 徒歩12分 (約960m)
JR横浜線『橋本』 バス乗車18分 四ツ谷 停 徒歩12分 (約960m)
JR横浜線『相模原』 バス乗車15分 四ツ谷 停 徒歩12分 (約960m)

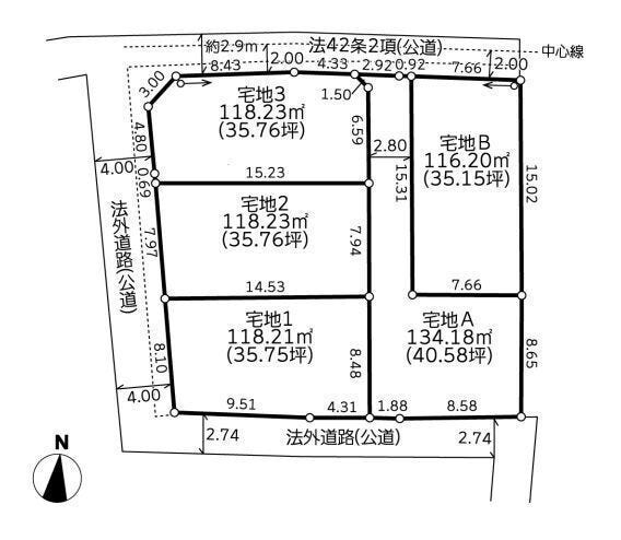
【区画図】

【区画図】

物件の特徴

主な設備

公共下水

プロパンガス

主な特徴

3沿線以上利用可

物件概要

価格 1,570万円 坪単価 坪44.7万円
物件種別 土地
所在地 神奈川県相模原市中央区田名 宅地B/5区画
アクセス JR相模線『上溝』 バス乗車11分 四ツ谷 停 徒歩12分 (約960m)
JR横浜線『橋本』 バス乗車18分 四ツ谷 停 徒歩12分 (約960m)
JR横浜線『相模原』 バス乗車15分 四ツ谷 停 徒歩12分 (約960m)
土地面積 116.2㎡(35.15坪) 接道 北側(公道)幅 約2.9m
私道 セットバック
最適用途 造成完了時期
地目 地勢
権利 所有権
分譲情報
都市計画 市街化区域
用途地域 1種中高
建ぺい/容積率 60% / 150% 土地国土法
許可番号 建築基準法
法令制限 宅地造成及び特定盛土等規制法・準防火地域
小学区 田名小学校 徒歩11分 (約849m) 中学区 田名中学校 徒歩10分 (約779m)
現況 更地 引渡 相談
建築条件 建築条件付
その他費用
周辺環境 田名小学校 徒歩11分 (約849m)
田名中学校 徒歩10分 (約779m)
上田名幼稚園 徒歩8分 (約630m)
ヨークフーズ田名店 徒歩13分 (約971m)
ローソン相模原田名店 徒歩9分 (約690m)
クリエイトS・D田名四ツ谷店 徒歩14分 (約1100m)
宮田医院 徒歩6分 (約450m)
田名葭田公園 徒歩6分 (約440m)
備考 ■相模福祉村KIDS+保育園・・・約355m(徒歩5分)
■うえだな幼稚園・・・約630m(徒歩8分)
■ヨークフーズ 田名店・・・約971m(徒歩13分)
■ローソン 相模原田名店・・・約762m(徒歩10分)
■クリエイトエスディー 田名四ッ谷店・・・約1100m(徒歩15分)
■宮田医院・・・約844m(徒歩11分)
■田名葭田公園・・・約440m(徒歩8分)
物件番号 4689778 取引態様 媒介

電話で問合せ

通話料無料

0120-545-999

定休日:火曜日、水曜日
営業時間:9:00~18:00

物件番号をお伝えください

物件番号

4689778

【取扱い店舗】ハウスドゥ 相模原横山台取扱い店舗情報
ナビ女性画像

【取扱い店舗情報】

ハウスドゥ 相模原横山台
取扱会社:夢のなかまたち株式会社
所在地:〒252-0241 神奈川県相模原市中央区横山台2丁目13番1号1F
フリーダイヤル:0120-545-999
電話番号:042-851-3970 FAX:042-851-3971
免許番号:神奈川県知事(2)第30659号
所属団体:(公社)全日本不動産協会会員
(公社)不動産保証協会会員
(公社)首都圏不動産公正取引協議会加盟
定休日:火曜日、水曜日
営業時間:9:00~18:00

もっとたくさん物件がみたい!という方へ

店頭で

店頭ではHPに掲載できない物件を併せて
915件をご案内できます!

Webで

ご希望にマッチした物件や、新着・値下げ情報を
即日メールにてお届けします!

ページトップ

ページトップ